Alerta do Google - Arkansas Weather

Google
Arkansas Weather
Atualização assim que ocorre 25 de agosto de 2017
NOTÍCIAS
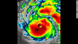
Harvey strengthened early Friday, becoming a Category 2 hurricane with winds up to 110 mph, according to the National Weather Service. -- Isolated ...
Google Plus Facebook Twitter Sinalizar como irrelevante
Você recebeu este e-mail porque se inscreveu nos Alertas do Google.
RSS Receber este alerta como feed RSS
Feedback sobre o Google+
Share: